Known issues for Survey

Information on production issues for Landonline – Survey

See also:

Known issues in Plan Generation

Georeferenced images reverting to opaque

May 2026

If you adjust the image opacity for a Georeferenced image when the Layers panel is “popped-out”, it incorrectly reverts to 100% opacity as soon as your mouse returns to the spatial view.
 

image of survey capture, with an uploaded georeferenced image visible. The Layers panel is open, in "popped-out" mode, and the georef image opacity is set to 100%.

Workarounds:

  • Don’t use a popped-out Layers panel when working with georeferenced images in your survey.
  • If you do use the popped-out Layers panel, change the opacity, then toggle the layer off and back on before moving your mouse outside the panel.

    image of the georeferenced image section in the layers panel. The toggle layer on/off button is highlighted.

Duplicated vectors error message not fully displaying

January 2026 
 

image of spatial capture with an error message partially displayed, covering the screen vertically from top to bottom.

The Duplicated vectors error message may sometimes display without all details visible. This occurs when there are a high number of duplicated observations reported.

You won’t be able to see:

  • the error message details at the top of the message
  • all listed observations
  • the OK button at the bottom of the message.

To view the full error message, you will need to reduce the zoom in your browser.

How to reduce browser zoom:

  1. Maximise your browser window, then reduce the zoom level of your browser to allow the full error message to display. Either:
    • Position your mouse anywhere in the browser window and hold CTRL on your keyboard while scrolling your mouse wheel towards you.
    • Click into the window to make it active, then hold CTRL and click (minus) on your keyboard.
    • Adjust the zoom in your browser menu.

      image of a browser window with the 3 dot menu highlighted and open. The zoom option in the menu is also highlighted.
    • Adjust the zoom in the browser address bar.

      image of a browser address bar with the browser zoom icon highlighted.

Once you can view the entirety of the message:

  • Identify all the duplicate vectors in the list. You will need to delete 1 set of each duplicate.  
    Tip: Take a screenshot of the message as you won’t be able to make any edits while the message is open.  
  • Select OK to close the message.
  • Once all duplicate vectors are addressed, relink your parcels.
     
image of spatial capture with the error message fully displayed. OK at the bottom of the message is highlighted.

Future enhancement fix:

LINZ are investigating adding a scroll bar to the message so you will be able to view all details without reducing browser zoom.

All labels toggle doesn’t hide all labels in capture

September 2025

The Labels toggle in the Layers panel doesn’t hide all labels when switched to off. 
 

Image of the layers panel with the labels toggle highlighted and switched to off. Labels are still showing in the capture screen.

You will need to toggle Labels to on then untick each label type individually to hide them.
 

image of labels section in the layers panel. 'Labels' is toggled to on, and the individual labels' checkboxes are highlighted.

Renewed or disturbed mark not saving details as expected

May 2025

When you record details of a renewed or disturbed mark in the Marks panel, sometimes Landonline doesn’t save it correctly, leading to a pre-validation error preventing submission.

A correctly saved renewed mark is shown below.
 

image of the marks panel with a renewed mark highlighted.

After selecting the node ID or entering the name of the renewed or disturbed mark, and selecting Continue, occasionally the renewed or disturbed mark name is not retained in the Condition field.

If this occurs, change the Condition back to Reliably Placed and remove the Description. Once saved, try capturing the mark as renewed/disturbed again.
 

image of the marks panel with the mark condition set to Reliably placed, and the description removed.

For details on how to capture a renewed mark, see: 
Record a renewed or reinstated mark

For details on how to capture a disturbed mark, see: 
Record a disturbed mark that has previously been recorded in Landonline as reliable

Water and Irregular boundary XML import issue

March 2024

Some users have reported an issue when importing XML files created in Liscad that have water or irregular boundaries.

If you are having difficulties importing your file, please call customer support on 0800 665 463 or email customersupport@linz.govt.nz

Spatial Displacement when working in the Chatham Islands

March 2024

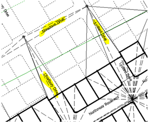
When capturing a Survey in the Chatham Islands and working at maximum zoom level there appears to be a displacement of data between a linked survey mark and the underlying mark to which is linked. The coordinates stored in the database for the linked mark and the underlying mark are exactly the same, and the displacement is purely visual.
 

Spatial map showing a visual displacement between coordinate points

Inactive user associated to plan not showing

February 2024

Currently inactive users are not being shown in the enabled users’ panel, this is causing issues for firms that are wanting to remove users.

Please call customer support on 0800 665 463, provide a list of plans that the inactive user is associated to, have a case raised and assigned to the Landonline Application Specialist team who will remove them on your firm’s behalf.

Y027 rule preventing submission - Automated Schedule/Memorandum with Common property

November 2023

If the Y027 rule does not pass at pre-validation, even after updates are undertaken to bring in amended parcels from capture etc., look out for the presence of ‘Common Property’ under the Burdened Land (Servient Tenement) field.
 

look out for the presence of ‘Common Property’ under the Burdened Land (Servient Tenement) field

Until this is fixed you will need to:

  1. Save your automated Schedule/Memorandum to your computer by using the Download as PDF function and then attach it as a manual Supporting Document.
    See: Download the schedule / memorandum as a PDF
  2. Delete the automated version attached (don't replace it), then re-run pre-validation.

See also: Y027 preventing submission at Pre-validation, even though the automated Schedule/Memorandum is complete and matches capture

Renaming of TA Certification package

November 2023

An issue occurs when a TA certification package is renamed, when a user attempts to create an additional package, the below error appears.
 

Message says 'Creating a new package failed, an unexpected error'

As you cannot update the TA certification package name in New Landonline the workaround is:

Reverse tick box carried through from Legacy

November 2023

If your Survey was created in Legacy Landonline and a ‘reverse’ tick box had been selected on a vector, when you add a new vector in New Landonline it will retain the reversed direction for any subsequent vectors copied from a row where the reverse selection was applied.

As the reverse tick box is not an option in New Landonline the work-around is:

  • if you know which vector was set up as reversed in Legacy Landonline, you can delete it and manually re-capture it in New Landonline.
  • call customer support on 0800 665 463 or email customersupport@linz.govt.nz

Placeholders disappearing on large Surveys

October 2023

Some users have reported experiencing placeholders disappearing when being used on their survey in Landonline.

While we are investigating this issue as a workaround, please raise an exception request to get the Landonline data moved.

Multiple selection tool unable to complete requested action on large number of features

September 2023

When bulk selecting marks, lines, vectors and parcels to be deleted, unlinked or adopted at one time, you only have the ability to select and action up to around 400 features at once.

There is currently a 45 second connection timeout, which then presents an error.
 

Screenshot of the error message

If you encounter an error when updating or deleting a large number of features, a workaround is to refresh your browser or exit the survey and open it again. If the features that were selected have not updated as expected, select a smaller group, and try again.
 

Screenshot showing a group of selected features

C640 incorrectly warns that a connection has not been made to a cadastral survey network mark (CSNM)

Landonline release 3.24

Landonline business rule C640 tests whether the survey connects to a CSNM as required by CSR 2021 r 17(1). It also tests that the connection has been made by adoption or measurement r 17(2).

To satisfy rule 17(1)(a), only 1 of the qualifying boundary marks has to be connected by 1 or more vectors to a CSNM within the 1000m limit.

Where there is a combination of captured CSNMs both inside and outside of the 1000m limit, sometimes Landonline will produce a pre-validation warning indicating that 1 or more CSNMs have not been connected to, when a valid connection has been made.

Where business rule C640 has failed and you have correctly recorded a measured or adopted connection by 1 or more vectors to a CSNM as required by CSR 2021 r 17, you should make a note in the survey report to address the pre-validation warning.

Survey report content clears when running pre-validation to convert RCS 2010 CSD to CSR 2021

Landonline release 3.24

For datasets captured prior to 25 February 2022 and not lodged, you need to run pre-validation to convert the dataset into CSR 2021.

  • This will change the survey report from RCS 2010 to CSR 2021.  
  • This action will clear all previously entered content in the survey report.

As Legacy Landonline is now switched off, there is no way to retrieve the original survey report content. You will need to complete a new survey report.

CSNM/VCM can be captured as ‘New’ marks in Landonline even though this is not allowed under CSR 2021

Landonline release 3.24

If you create a CSMN/VCM mark as state New, there is no symbology for this and so it takes on the appearance of an Old CSNM/VCM (solid triangle).
 

image highlighting a CSNM in survey capture. The mark has been captured as a new mark but is depicted as a solid black triangle.

There are no rules run at pre-validation to check this.

Check the Marks panel to ensure CSNM/VCM marks are only captured with a Mark State of Old or Adopted. Edit these if Mark State is set as New.  

Note: An orange warning triangle displays in the Mark Purpose and Mark State fields to indicate that the Mark State needs to be edited.
 

image of the marks panel highlighting orange triangles next to the purpose and state of a CSNM mark. The mouse cursor is positioned over the triangle and a tooltip reads: "A CSNM/VCM mark may only have a state of Old or Adopted."

Y027 preventing submission at Pre-validation, even though the automated Schedule/Memorandum is complete and matches capture

Landonline release 3.20
 

 image of Y027 in pre-validation.

Y027: Some parcels have been removed. Ensure the automated Schedule / Memorandum is updated and re-attached. 

See also: Y027 rule preventing submission - Automated Schedule/Memorandum with Common property

This Y027 rule indicates that captured parcels have been removed from spatial capture or the parcel list (or both). These parcels may have been in the original Schedule/Memorandum (possibly already attached as a Supporting Document), but do not display in the current Schedule/Memorandum anymore.

When you check the Schedule/Memorandum panel, there are:

  • orange warning triangles in fields where the parcels that were initially captured have been removed, and
  • the original parcel id, which no longer exists as it was deleted.
     
image of the schedule /memorandum panel. Some of the parcel appellations have been replaced with ID numbers and orange triangles.

If you have a copy of the original schedule/memorandum you can identify:

  • what the parcels were
  • what the parcels should be now.

Double-click in the field(s) with the orange warning triangle, and select the appropriate parcel from the drop-down list to re-populate the field.
 

image highlighting the burdened land field for a schedule of easements in gross. The field has been selected and options to select parcels are available.

Once the rows have been updated:

  1. Ensure you re-attach the schedule/memorandum as a supporting document.
  2. Re-run Pre-validation to ensure the Y027 rule passes.
     
Last updated