Cadastral survey plan

Information about what's on a Cadastral survey plan.

Cadastral survey plans show a property’s legal boundaries, area and dimensions. 

There are 3 main types of cadastral survey plan: 

  • deposited plans (DP)
  • survey office plans (SO)
  • Māori land plans (ML). 

Cadastral survey plans can date back to around 1850. Older plans may include names of European settlers, as well as Māori and early English placenames.

The plans show the appellation or legal description for a piece of land, depending on the land classification. 

For example: 

  • Section 1 Block VII Mata Survey District for Crown land
  • Kaiti 313A6B2 for Māori land
  • Lot 1 DP 12345 for general land. 

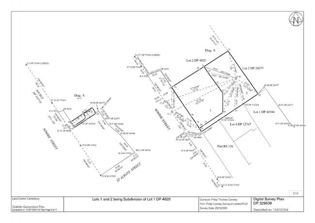
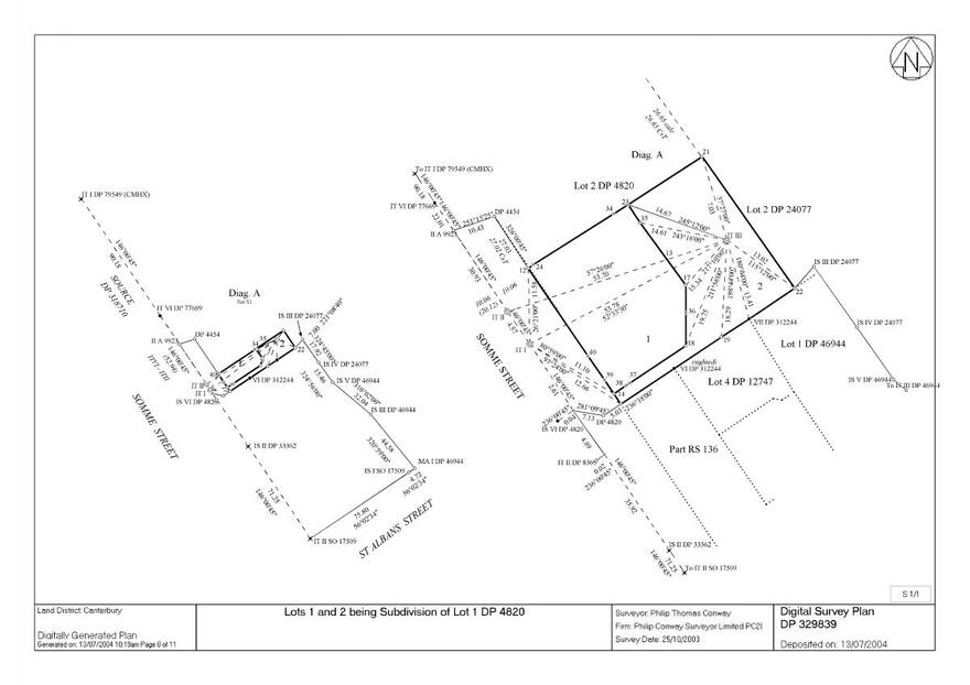
Survey sheet of a cadastral survey plan

The survey sheet of a cadastral survey plan shows detailed survey observations. 

The sheet may also include a simpler plan showing only the property's boundaries, area and dimensions.

Example of a survey sheet.

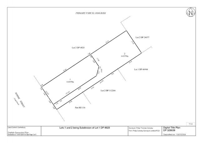
Title sheet of a cadastral survey plan

The title sheet of a cadastral survey plan shows the plan deposited when the title was created. 

This could be a simple plan of the property’s boundaries, area and dimensions, a detailed survey plan or a combination of both.

Example of a title plan.
Last updated