Move a parcel appellation label

How to move a parcel appellation label in survey capture, and how this may affect the parcel label’s location in Plan Generation.

When you link a parcel, Landonline attempts to place the parcel appellation label within the greatest area of clear space in the parcel. While usually this is successful, sometimes you will need to move the parcel label into a better location for clarity. 

Also note that if 2 parcels are coincident, for example a primary and secondary parcel, the labels for both parcels will be positioned in the same place.

You should check the position of parcel labels in your spatial capture screen after linking your parcels, and move them if necessary.

How to move a parcel appellation label in spatial view

  1. Select the parcel by left clicking on it. The parcel is pink when selected.

    Image of a selected parcel in survey spatial view. The parcel is pink, showing that it's selected.

If 2 parcels are coincident:

If there are 2 parcels in the same place, open the New parcels panel and select the correct parcel by ticking the box to the left of the parcel.

image of the new parcels panel, with Lot 299 ticked.
  1. Right click inside the selected parcel to open the context menu.

    image of the selected parcel's context menu.
  2. Select Move parcel label.

    image of the parcel's context menu, with "move parcel label" highlighted.
  3. The mouse cursor changes to a cross symbol (+), with the full parcel appellation above it in pink.

    image highlighting the mouse cursor which is now a large plus symbol, and the parcel appellation in pink, outlined with a dashed line.
  4. Move your mouse to your desired location. The label will be placed at the cross position. Left-click to place the label.

    image of the parcel appellation label in its new position.

The label must be within the parcel. If you go outside the parcel boundary, you won’t be able to place the label until you have moved it back inside.

image of a parcel appellation label being moved. The mouse cursor is outside the parcel boundary, and a red warning has popped up reading: "Label position must be within parcel".

Issues when moving parcel appellation labels in both Plan Generation and capture

You can also move parcel appellation labels in Plan Generation layout plan sheets.

This can cause issues if you then move the parcel label further in capture. The parcel label may be sitting outside the parcel boundary when you return to your layout sheets. Ensure you check your layout sheets and reposition any labels that you have moved in capture, if needed.

For information on how to move a label in Plan Generation, see: 
Layout plan sheets - Move a label

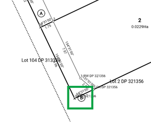
In this example, the parcel label for Area B had been moved in Plan Generation. We then moved it in capture to the position shown below.
 

image highlighting the parcel appellation label for area B in survey capture. The label is positioned within the parcel, near the south end.

When we return to the layout sheets in Plan Generation, the label is now sitting outside the parcel boundary.
 

image highlighting the parcel appellation label for area B in a layout sheet in Plan Generation. The label is now positioned over the parcel boundary, into the neighbouring parcel.

 

Last updated