Known issues in Plan Generation

Information on current known issues in Plan Generation.

See also: Key differences with Legacy Landonline Plan Generation

For other known issues in Landonline Survey, see:
Known issues for Survey

Child diagram labels not displaying in layout sheets

A child diagram label won’t display on its “parent” user-defined diagram in the layout sheets if:

  • any part of the “parent” user-defined diagram extents are outside the system generated diagram AND
  • the child diagram is wholly within the system generated diagram.

Instead, the child label will appear on the system generated diagram, as that becomes its “parent”.

In the example image below, user-defined Diagram A extends outside the system generated primary diagram (the green dashed lines). The system generated diagram becomes the child of Diagram A. Diagram AA and AB, in turn, become the children of the system generated diagram.
 

image of defined diagrams in plan generation. Diagram A encloses the system generated diagram. Diagrams AA and AB sit inside the system generated diagram.

In the layout sheets:

  • Diagram A doesn't display any labels, because the system generated diagram shows them.
  • In the system generated diagram, you can see the labels for Diagrams AA and AB.
     
image of the diagrams laid out on a title sheet. Diagram A has no child labels. The systrem generated diagram displays child labels for diagram AA and AB.

If you choose not to use the system defined diagram in your layout sheets you can either:

  • re-define the “parent” user-defined diagram so no part of it extends outside the system generated diagram, or
  • add user-added text to the “parent” diagram for the child diagram label.

For more information, see How Landonline labels nested diagrams in Layout Plan Sheets

Long skinny diagrams snapping to layout sheet borders and then unable to be resized

This issue occurs when working with diagrams in the layout sheets that are very long in proportion to their height.

When you resize the diagram, the diagram “snaps” to the outer edges of the sheet. This will prevent you from resizing or reducing it further. You can still move the diagram up or down on the layout sheet.
 

Image of layout plan sheets. A long skinny diagram is displayed, and is currently expanded to the borders of the layout sheet.

If this occurs and is causing you problems, you may need to return to Define diagrams and either:

  • trim unneeded length off the diagram using the reduce diagram tool. 
    See Reduce a user-defined diagram
  • if possible, redefine the diagram as shorter segments, or with more height in proportion to its length.

    image of define diagrams. the original long skinny diagram has now been redefined as 2 shorter diagrams.

CTRL+C and CTRL+V not working when caps lock on

CTRL+C and CTRL+V (copy-paste shortcuts) do not work in the layout sheets while caps lock is on. However, you can still use the copy paste functions from the label or line menus.
 

image of a selected label and its label menu. The Cut, Copy, Paste, and Delete functions are highlighted.

User-added labels stacking in layout sheets when copy-pasted

When copy-pasting multiple user-added labels together, sometimes they lose their original spatial relationship and paste all on top of each other in 1 place. You then need to move each label individually. 
 

image of labels in plan generation layout sheets. Labels on the left are laid out and spatially separated. The same labels have been copied and pasted, and the pasted labels are all on top of each other.

You may need to copy-paste each label 1 at a time to prevent this occurring.

Old marks' symbols missing from survey sheets in Record of Survey

We have found that some old mark symbols are being removed from the survey sheets in the Record of Survey during plan compilation. 

You will need to:

  1. visually check your survey sheets in My messages before submitting, or before resubmitting after a requisition, and  
  2. if you find any missing symbols, recompile your plans and recheck again before submitting.

Example of missing mark symbols:

Image of a survey sheet. Several marks symbols are missing, these are highlighted.
Image of a survey sheet. Several marks symbols are missing, these are highlighted.

System error has stopped plan from compiling correctly / Black pages in preview layout

Some users are getting black pages when previewing their layout sheets. The system is designed to also detect these when you compile your plans.  

Expected behaviour:

If the system detects black pages during plan compilation, the signing surveyor and primary contact will get a message via My Messages alerting you that plan compilation was unsuccessful and to recompile the plans:

A system error has stopped this Plan from compiling correctly. Please retry by clicking Compile’.

Plan Generation distortion

Landonline release 3.7

Since Landonline release 3.7 was implemented, Plan Generation distortion enhancement has caused the following issues:

  1. Errors encountered when opening Plan Generation layout sheets.
  2. Geometry errors encountered when opening Plan Generation, Define Diagrams or Layout Plan Sheets.
  3. No errors occur when opening layout sheets, but laid out data is now not what it previously looked like.

Toitu Te Whenua LINZ appreciates that this is causing major problems for some Landonline Survey users and are giving high priority to resolving these issues. In the meantime:

Where (a) or (b) occurs, please phone customer support on 0800 665 463 with:

  • the CSD number
  • the error message.

A Landonline Application Specialist will contact you and work with you to open the plan successfully in plan Generation.

Where (c) occurs:

  1. Review all layout sheets for distortion.
  2. In survey capture, check your 2 adjustment reports in pre-validation for high SEUWs or large miscloses.  
  3. If there are no issues with the reports, then please phone customer support on 0800 665 463 with:

    • the CSD number
    • screen shots of the distortion.

    A Landonline Application Specialist will contact you and work with you to get the plan to display correctly

As a result of the Plan Generation distortion enhancement, there is a greater emphasis on ensuring that all Y rules are satisfied before opening Plan Generation. More importantly, it is essential to check the entire Pre-validation report, in particular, the 2 adjustment reports in the Adjustments tab. If gross errors are reported in either of these adjustments, the risk of things going wrong in Plan Generation is high, so you should ensure that any data capture errors are resolved before attempting to go into Plan Generation.

If you are unsure how to proceed, please contact customer support on 0800 665 463.

Thickness of truncated lines for boundary reinstatement surveys in Layout Plan Sheets

Truncated lines are also commonly known as broken lines.

This issue only occurs for Simple and Complex Boundary Reinstatement CSDs, or other CSDs where parcel boundaries have been captured with distance or bearing type as Rein Adopted or Rein Calculated.

In the layout sheets, if a line is truncated on a diagram, that is, the entire vector isn't showing, the line changes to a thin line.

In this example, the first diagram shows the reinstated boundaries as thick lines, because the vectors are shown in full:
 

Image of a diagram in plan generation, showing all reinstated boundary vectors in full. The vectors are thick black lines.

In the second diagram, only 1 reinstated boundary is shown in full, with a thick line. The other 2 reinstated boundaries are truncated, or broken, so they display as thin lines:
 

Image of a diagram in plan generation, showing 1 reinstated boundary vector in full. The vector is a thick black line. The other 2 boundary vectors are truncated, and are thin black lines.

This is a functionality issue in Landonline, which we are looking to get fixed in the future. As long as there is 1 diagram with the entire reinstated boundary line in it, Toitū Te Whenua LINZ should not requisition the survey for the line showing incorrectly when truncated.

If you are incorrectly requisitioned for this issue, please phone customer support on 0800 665 463, or you can respond directly to the requisition and refer to this known issue.

Unused diagram labels showing in compiled plans

Any child labels for diagrams that you have defined but then haven’t used in your layout sheets will still show on the larger diagram in your compiled plans. These labels will display See T? or See S? in title sheets or survey sheets respectively.

In Legacy Landonline these unused labels were automatically removed from the compiled plans.

You will need to delete any unused diagrams from Define Diagrams before compiling your plans. 
 

image of part of a compiled plan, highlighting a diagram label for a diagram that has not been used. The label shows "See T?".

Panning issues in Layout Plan Sheets

There are issues with panning to layout page edges with certain combinations of system display scale and browser zoom. Higher zoom levels for either or both can make the issue occur.

  • Display scale is set via your operating system. It is often set to more than 100% to increase text/icon size on small screens (for example laptops) or hi-res screens (for example 4K monitors). On Windows you can find this by navigating to Settings > System > Display > Scale.
  • Browser zoom is usually set in the address bar of your browser. This is independent of the zoom used in Layout Plan Sheets to zoom in or out of diagram elements.

If you experience the panning problem, you can reduce the display scale, the browser zoom, or both, to stop it happening.  

This table shows some examples of display scales and maximum browser zoom combinations that we’ve tested and should allow panning to work without issues.

Screen Display Scale Max. browser zoom 
1920 x 1080 - 24" external monitor100% 110% 
1920 x 1200 - 15" laptop100% 110% 
150% 75% 
3840 x 2160 - 27" external monitor100% 100% 
125% 80% 
150% 67% 
3440 x 1440 - 34" ultra-wide external monitor100% 100% 
125% 67% 

Large survey area

Where a survey covers a very large area, manipulation of lines and labels in layout plan sheets can be very slow. This slowness can be due to the large number of underlying parcel boundary lines being displayed.

Diagram 1 shows an example of a survey which may be slow to manipulate:
 

Easement survey

Diagram 1.

Where this slowness occurs, you'll need to do one, some, or all of the following:

  • create a user-defined diagram more closely following the extent of the survey, rather than using the system generated diagram
  • turn off information such as boundary mark labels, non-primary parcel dimensions labels, and existing parcel labels in maintain diagram layers before entering layout plan sheets (see example below in Diagram 2)
  • remove all existing parcel information from the main sheet and show the underlying parcels only on the enlarged diagrams as required by CSR 2021 rule 97(4). There's no requirement in CSR 2021 to show the underlying parcel information on the main diagram
  • hide as many lines as possible if you want to keep the system generated diagram and the underlying parcel information.
     
Where to switch off layers

Diagram 2.

Missing mark labels, bearings and or distances in layout sheets

Landonline release 3.19

After diagrams have been laid out on the layout sheets, some users are finding that not all mark labels, bearings and/or distances are displaying. This happens even though these layers and labels are turned on in Maintain diagram layers (for both diagram type and individual user-defined diagrams).  

Note: Also check that the affected labels haven’t been hidden. Turn on View hidden objects in layout sheets
See: View/hide all hidden objects on layout sheets 
 

image of maintain diagram layers panel, highlighting the layers and the labels. All are currently set to on.

Below is an example of missing mark labels (highlighted yellow) yet all the other mark labels are displaying:
 

image of part of a diagram in the layout sheets. 3 marks are highlighhted yellow, and have no corresponding label.

If you find any diagrams that you have laid out are missing any mark labels, bearings and/or distances, the only way to get those labels back is to:

  1. Close Layout plan sheets
  2. Open Define diagrams
  3. Re-define NEW diagrams over any that are corrupt
  4. Delete the original diagram(s)
  5. Open Layout plan sheets
  6. Lay out the new diagram(s) and check that all labels are now displaying.

Resizing your diagrams in Define diagrams will not resolve this issue.

If no labels are displaying at all over the entire diagram or layout sheet, this is different than the above issue. In this case, check that you have added the appropriate layers in Maintain Diagram Layers
See Maintain diagram layers

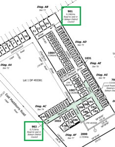
Road names in Plan Generation layout sheets

Landonline release 3.16

There is an on-going issue with road names in Plan Generation layout sheets.  

Where new surveys create new road polygons, the new roads are normally captured as 1 new polygon and given an appellation in that survey.  

In the example below, the plan created 2 polygons for road (Lot 901 and Lot 902). You can see there are several road names inside Lot 901 and Lot 902.
 

image of part of a title plan, creating "road" parcels, lots 901 and 902. Lot 902 is highlighted green. Lot 902 has 3 road names inside it: Meadows, Charlbury and Lydiard Drives.

Diagram 1.

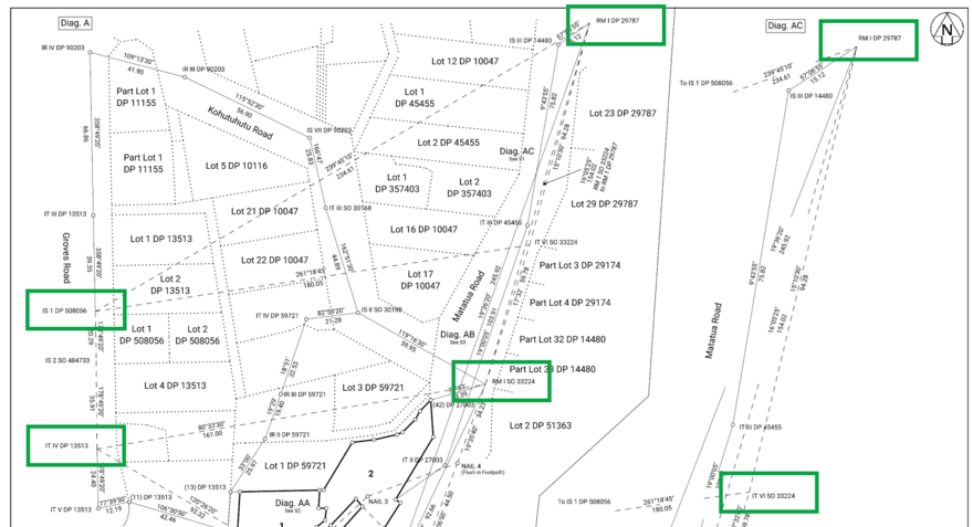
In the spatial window, the road polygon for lot 902 in Diagram 1 above is the area highlighted red in Diagram 2 below. You can see that there are 3 different road names in the 1 polygon: Meadows, Charlbury and Lydiard Drives.
 

image of a road polygon in web search. The 3 different road names that make up the 1 polygon are highlighted.

Diagram 2.

In the DCDB days (Digital Cadastral Database) under the Department of Survey & Land Information (DOSLI), we spent time and closed off road polygons to create smaller polygons for roads to satisfy councils and other end users of our data. This is not the case for new surveys that create new road formations.

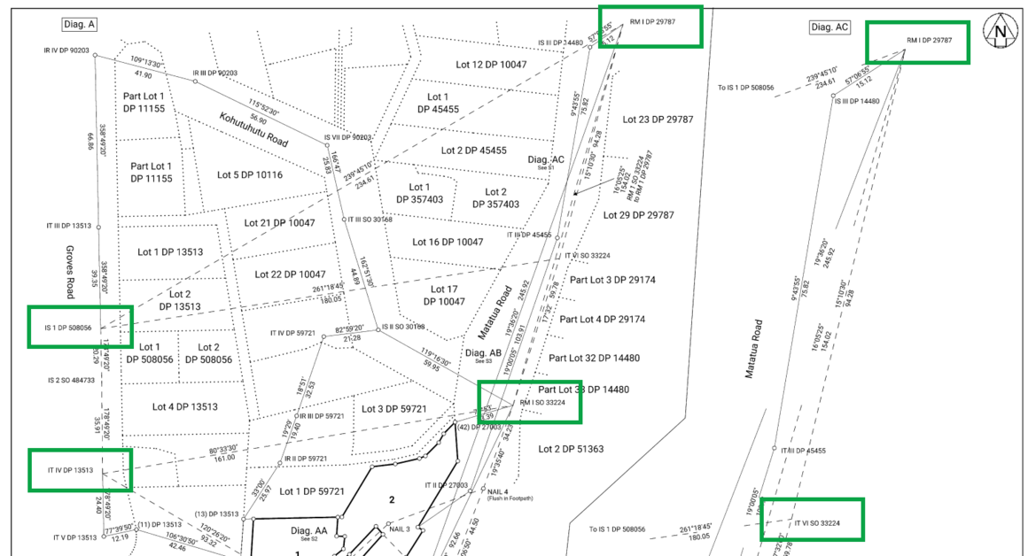
In Plan Generation Define diagrams, this is reflected as per the spatial view above (Diagram 2). The road names identified in green below in Diagram 3 are all contained within 1 polygon (the formation of Lot 902 from Diagram 1 above).
 

image of the same road area in define diagrams. The multiple occurances of the road names are highlighted.

Diagram 3.

When the layout sheets are opened, the system looks for the polygon shapes that are within the diagram created in Define diagrams.  

In this example, as the adjoining road names (Charlbury Drive, Meadows Drive, and Lydiard Drive) are contained within 1 polygon (to define Lot 902 on the abutting plan), at least one of these road names will be incorrect.

In this instance 2 of the road labels (for Charlbury Drive) are incorrect:

  • (a) should be Meadows Drive
  • (b) Lydiard Drive is missing entirely
  • (c) should be Northmoor Boulevard (from the neighbouring polygon)
     
image of the same road polygon in layout plan sheets. There are 3 labels for Charlbury Drive, only 1 in the correct position. Labels for Meadows and Lydiard Drives are missing. 1 of the Charlbury Drive labels is positioned in a separate polygon that should be labelled Northmoor Boulevard.

Diagram 4.

To amend these road names:

  1. Select the label and hide it.  
    See: Hide an object on the layout page
  2. Add user added text to add the correct road name positioned at the correct location on the layout sheets.
    See: Add label

There may be other situations where you see an incorrect road name appear in the layout sheets. Please ensure that you check your layout sheets before compiling plans, and undertake the following steps to correct any incorrect road names.

Where an incorrect road name is displayed in the Layout Sheets, either:  

Option 1: Move and replace the label

  1. Select the road name label.
  2. Move the label to the correct location if it’s displayed in the wrong place. 
    See: Select and move objects
  3. Add the correct road name via Add label to the correct location. 
    See: Add label

Option 2: Hide and replace the label

  1. Select the road name label.
  2. Hide the label. 
    See: Hide an object on the layout page
  3. Add the correct road name via Add label to the correct location. 
    See: Add label 

Saving your work

  • If you exit layout plan sheets via Close layout then Save and leave, you may be prompted by an incorrect ‘Unsaved changes in Layout Plan Sheets’ warning message when you next open the survey from workflow.
     
  • Auto-recovery may not trigger if your only change is with user-added text or lines.
     
  • If you have any features selected when the end of day warning appears, they will be automatically de-selected and you will need to reselect them.
     
  • On larger plans, when you select Save layout, there may be a significant delay before the ‘Layout saving’ pop-up appears, so it looks like Plan Generation isn’t responding.
     
  • On large plans, a 'Page Unresponsive' message may appear in your browser when you select Save or Preview layout. Select Wait to continue.

    image showing the 'Page unresponsive' message in browser when user is in plan generation. 'Wait' is highlighted.

Labels in layout sheets 

  • If you have multi-selected labels and include an irregular line label, the Hide 00” action will also delete any added line-breaks from the irregular line label.
     
  • The page reference label may overlap the diagram label (for example See T2 overlapping Diag. A) after the label is moved then reverted to its original location. Select and drag the labels to correct them.
     
  • For a user-defined non primary diagram, the diagram label is not attached to the non primary label. This means they can be moved independently. It’s recommended that you select them both and move them together.

    screenshot of a non primary diagram label showing the non primary label is moving independently of the diagram label.

     

  • If you select Original location for an arc label, the label moves but sits at 90 degrees instead of being aligned to the arc. Right click on the label and select 'Align label to line', select the arc, then move the label as needed. 

    image of an arc label positioned incorrectly at 90 degrees. The label menu is open and 'Align label to line' is highlighted.

 

  • Changing font size for Child diagram labels is also incorrectly changing the associated page number font size. We suggest you set your Child diagram label preferences in Label preferences before making any manual changes to the labels in layout sheets. 
    See Label preferences

    image of a child diagram label showing the diagram label and page number are the same size.

 

  • Adding a border to a Child diagram label is incorrectly adding separate borders to the diagram label and the page number, making them both difficult to read. Note that this difficulty is increased if the labels are the same font size.

    image of 2 child diagram labels in layout sheets. They have had borders added. There are separate borders around the diagram name and the page number, causing the border to overlap the text.

Mark symbols in layout sheets

  • A mark symbol can sometimes become detached from its associated lines in the layout plan sheets, if you click or drag too fast. Save, close, and reopen the plan to “reattach” the mark.

    image showing a detached mark symbol in layout sheets. The mark symbol has moved away from the selected coordinate.

      

  • When you select the mark label for a PRM, the mark symbol won’t be highlighted pink if your browser scale is 100% or less. You can still perform any required actions as usual. 

    image of a selected PRM in plan generation. The mark label is highlighted pink, but the mark symbol is not.

Other known issues in Plan Generation

  • There can be issues when you resize your Browser/Window screen. Maximise the screen and refresh to resolve this. 
     
  • Easement leaders change appearance from Layout Plan Sheets to Preview layout and compiled plans. There may be a gap between the leader and the parcel label that is not present in the layout sheets. If they are clear enough, you can submit with the space. Ensure you mention this known issue in your survey report. 
    Example of leader lines as they appear in Layout Plan Sheets: 

    image of 4 easement labels with leader lines attached. The leaders are abutted to the labels.

    The same leader lines as they appear in Preview layout and compiled plan: 

    image of 4 easement labels with leader lines. There is a small gap between the leader line and the labels.

 

Last updated